กรมอุตุฯ เตือน พรุ่งนี้พายุไซโคลนอำพันถล่ม ได้รับผลกระทบ 63 จังหวัด
เขียนโดย NIXA
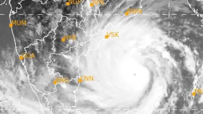
กรมอุตุฯ เตือนอีกฉบับ พรุ่งนี้พายุไซโคลนอำพัน ถล่ม ยังมีฝนตกหนัก ทะเลระวังเจอคลื่นยักษ์สูงมากกว่า 2 เมตร เมื่อวันที่ 18 พ.ค. กรมอุตุฯ ประกาศ พายุไซโคลน อำพัน บริเวณอ่าวเบงกอล มีผลกระทบถึงวันที่ 21 พ.ค.2563 ฉบับที่ 2 ลงวันที่ 18 พ.ค.2563 ระบุว่าเมื่อเวลา 16.00 น. พายุไซโคลน อำพัน บริเวณอ่าวเบงกอลตอนกลาง มีศูนย์กลางอยู่ที่ละติจูด 13.9 องศาเหนือ ลองจิจูด 86.5 องศาตะวันออก กำลังเคลื่อนตัวทางทิศเหนือค่อนตะวันตกเล็กน้อยด้วยความเร็วประมาณ 10 กมต่อชม
ความเร็วสูงสุดใกล้ศูนย์กลางประมาณ 205 กมต่อชม พายุนี้กำลังเคลื่อนตัวเข้าสู่อ่าวเบงกอลตอนบนและประเทศบังคลาเทศ ส่งผลให้มรสุมตะวันตกเฉียงใต้ที่พัดปกคลุมทะเลอันดามัน ประเทศไทยและอ่าวไทย มีกำลังแรงขึ้น ลักษณะเช่นนี้ทำให้ ในช่วงวันที่ 18 ถึง 21 พ.ค.2563 บริเวณประเทศไทยมีฝนตกหนักบางพื้นที่ โดยเฉพาะทางด้านตะวันตกของประเทศ ส่วนคลื่นลมในทะเลอันดามันมีกำลังค่อนข้างแรง โดยตั้งแต่จังหวัดภูเก็ตขึ้นมาทะเลมีคลื่นสูงประมาณ 2 เมตร เว้นแต่บริเวณที่มีฝนฟ้าคะนองจะมีคลื่นสูงมากกว่า 2 เมตร
ขอให้ชาวเรือเดินเรือด้วยความระมัดระวัง หลีกเลี่ยงการเดินเรือเข้าใกล้พายุ และเรือเล็กควรงดออกจากฝั่งในช่วงเวลานี้
สำหรับประชาชนบริเวณภาคเหนือ ภาคใต้ฝั่งตะวันตก และภาคใต้ตอนบน ระวังอันตรายจากฝนที่ตกหนักและฝนที่ตกสะสมไว้ด้วย
จังหวัดที่คาดว่าจะได้รับผลกระทบ มีดังนี้ ในวันที่ 19 ถึง 20 พ.ค.2563
ภาคเหนือ จังหวัดแม่ฮ่องสอน เชียงใหม่ ลำพูน ลำปาง แพร่ น่าน อุตรดิตถ์ ตาก สุโขทัย กำแพงเพชร พิษณุโลก พิจิตร และเพชรบูรณ์
ภาคตะวันออกเฉียงเหนือ จังหวัดเลย หนองบัวลำภู อุดรธานี หนองคาย บึงกาฬ สกลนคร นครพนม ชัยภูมิ ขอนแก่น มหาสารคาม ร้อยเอ็ด ยโสธร อำนาจเจริญ นครราชสีมา บุรีรัมย์ สุรินทร์ ศรีสะเกษ และอุบลราชธานี
ภาคกลาง จังหวัดราชบุรี กาญจนบุรี อุทัยธานี สุพรรณบุรี ชัยนาท นครสวรรค์ สมุทรสาคร สมุทรสงคราม นครปฐม กรุงเทพมหานครและปริมณฑล
ภาคตะวันออก จังหวัดนครนายก ปราจีนบุรี สระแก้ว ฉะเชิงเทรา ชลบุรี ระยอง จันทบุรี และตราด
ภาคใต้ฝั่งตะวันออก จังหวัดเพชรบุรี ประจวบคีรีขันธ์ ชุมพร สุราษฎร์ธานี นครศรีธรรมราช พัทลุง และสงขลา
ภาคใต้ฝั่งตะวันตก จังหวัดระนอง พังงา ภูเก็ต และกระบี่
ในวันที่ 21 พ.ค.2563
ภาคเหนือ จังหวัดแม่ฮ่องสอน เชียงใหม่ ตาก และกำแพงเพชร
ภาคตะวันออกเฉียงเหนือ จังหวัดเลย หนองบัวลำภู อุดรธานี หนองคาย บึงกาฬ สกลนคร นครพนม ชัยภูมิและขอนแก่น
ภาคกลาง จังหวัดราชบุรี กาญจนบุรี และอุทัยธานี
ภาคตะวันออก จังหวัดชลบุรี ระยอง จันทบุรี และตราด
ภาคใต้ฝั่งตะวันออก จังหวัดเพชรบุรี ประจวบคีรีขันธ์ ชุมพร สุราษฎร์ธานี และนครศรีธรรมราช
ภาคใต้ฝั่งตะวันตก จังหวัดระนอง พังงา ภูเก็ต และกระบี่
จึงขอให้ประชาชนระวังอันตรายจากพายุ ฝนฟ้าคะนองในจังหวัดที่มีการประกาศเตือนไว้ และขอให้ติดตามประกาศจากกรมอุตุฯ
ขอบคุณ กรมอุตุฯ
น้ำตกที่สวยที่สุดในประเทศไทย
8 ดอกไม้ห้ามไหว้พระ
เปิดวาร์ป 5 จังหวัด ค่าครองชีพถูกม๊าก แต่คุณภาพชีวิตดีเว่อร์
นกเอี้ยงสาริกา จากนกมงคลแดนสยาม สู่มหันตภัยมีปีกแห่งออสเตรเลีย
เปิดแอร์ 24 ชม. จ่ายกี่บาท?
จังหวัดที่พูดภาษาเขมรมากที่สุดในประเทศไทย
ประเทศที่ถือครองทองคำสำรองน้อยที่สุดในอาเซียน
ตึกที่มีความสูงมากกว่า 80 ชั้น เพียงแห่งเดียวเท่านั้นในไทย
10 ที่เที่ยวลับในไทย สวยระดับโลก แต่คนยังไปไม่เยอะ
10 โรงเรียนเอกชน ที่เก่าแก่สุดในประเทศไทย
มหาวิทยาลัยและสาขา ที่ค่าเรียนแพงที่สุดในประเทศไทย
"ปลากระป๋อง" เปิดแล้วกินเลยหรือควรอุ่นก่อน?
6 ข้อ ต่างชาติ มั่นใจสงกรานต์ไทยสนุกที่สุดในโลก
สูตร "ไส้หมูพะโล้และไข่พะโล้หอมหมื่นลี้" ตามรอยล่าหยก
เดือดข้ามแดน! “ฮุน มาเนต” ประกาศใช้ทุกวิถีทาง ดึงไทยขึ้นศาลโลก
5 อันดับ ทรงผมยอดฮิตของชายไทย
กากหมู กินไปแล้วร่างกายเราจะเป็นอย่างไร? ความจริงเรื่อง “ไขมัน” และ “คอเลสเตอรอล” ที่คุณอาจคาดไม่ถึง....
"ปราโบโว" เข้าพบ "ปูติน" กระชับความสัมพันธ์ อินโด-รัสเซีย!
คนจีนซื้อหนังไทยไปรีเมกใหม่ รายได้ถล่มทลายระดับพันล้าน
กระทรวงวัฒนธรรม "เขมร" ประกาศลั่น "วาฟเฟิล" คือขนมโบราณประจำชาติ งานนี้ต้นตำรับยุโรปถึงกับกุมขมับ
ก๊อปก็คือก๊อป สงกรานต์ไทยโดนแปลพัง “รดน้ำดำหัว” กลายเป็น “รดน้ำที่หัว”


