ซูเปอร์ไต้ฝุ่นฮากิบิส จ่อขึ้นฝั่ง ญี่ปุ่น เส้นผ่าศูนย์กลาง ใหญ่กว่าประเทศไทย

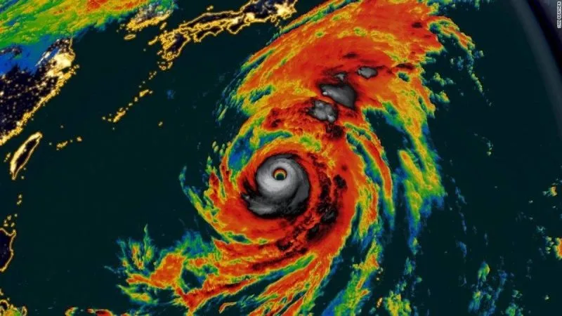
เทียบความแรงจากภาพใต้ฝุ่น Trami ในปี 2018 ที่เป็นไต้ฝุ่นระดับเดียวกัน
กรมอุุตุนิยมวิทยาญี่ปุ่น ออกประกาศเตือนว่าไต้ฝุ่นฮากิบิส อาจขึ้นฝั่งเกาะหลักของญี่ปุ่นในวันเสาร์นี้ (12 ต.ค.) พร้อมเตือนประชาชนให้ระวังอันตรายจากฝนที่คาดว่าจะตกลงมาอย่างหนัก กระแสลมแรง สตอร์มเซิร์จ และคลื่นสูง
โดยอาจจะกลายเป็นพายุที่ใหญ่ที่สุดในประวัติศาสตร์ที่เข้าถล่มญี่ปุ่นได้ ซึ่งทั่วโลกกำลังจับตามองอยู่

ขณะที่สายการบินออล นิปปอน แอร์เวยส์ (เอเอ็นเอ) ประกาศว่ามีแนวโน้มที่จะยกเลิกเที่ยวบินในวันเสาร์ที่จะถึงนี้ พร้อมเตือนว่ากาารต่อเครื่องบินทั้งขาเข้า และออกจากสนามบินต่างๆ อาจจะได้รับผลกระทบจากพายุไต้ฝุ่นลูกนี้
ส่วนสายการบินเจแปน แอร์ไลนส์ (เจเอแอล) แจ้งต่อนักเดินทางว่า บริษัทจะไม่เรียกเก็บค่าธรรมเนียมเพิ่มเติมใดๆ สำหรับการเปลี่ยนเที่ยวบิน หรือขอคืนตั๋ว เพราะการดำเนินงานได้รับผลกระทบจากสภาพอากาศที่เลวร้าย หรือภัยธรรมชาติ
ทางด้านอีสต์ เจแปน เรลเวย์ ซึ่งให้บริการรถไฟในหลายสาย รวมถึงรถไฟความเร็วสูง และรถไฟเส้นทางที่มายังสนามบินทั้ง 2 แห่งของกรุงโตเกียว ประกาศบนหน้าเว็บไซต์ของบริษัทว่า อาจจะระงับให้บริการรถไฟความเร็วสูง และบริการรถไฟทั่วไปในบางเส้นทางช่วงสุดสัปดาห์นี้ ส่วนหนึ่งของมาตรการป้องกันภัยล่วงหน้า ต่อพายุไต้ฝุ่นฮากิบิส
ขณะที่เฟซบุ๊ก เพจ สถานเอกอัครราชทุต ณ กรุงโตเกียว ประเทศญี่ปุ่น ได้โพสต์ข้อความเตือนนักท่องเที่ยวเที่ยวไทย ให้ระวังภัยที่อาจจะเกิดจากพายุไต้ฝุ่นลูกนี้ด้วย
ประกาศเตือนภัยไต้ฝุ่นหมายเลข 19 (Hagibis)
กรมอุตุนิยมวิทยาญี่ปุ่นได้ประกาศเตือนภัย ไต้ฝุ่นหมายเลข 19 (Hagibis) โดยคาดการณ์ว่าจะถึงฝั่งคันโต(ทางตะวันออกของญี่ปุ่น) ตั้งแต่วันเสาร์ที่ 12 ตุลาคม 2562 และส่งผลกระทบต่อพื้นที่คันโต (โตเกียว ฯลฯ) และโตไก (ชิซึโอกะ ฯลฯ) ระหว่างวันที่ 12-13 ตุลาคม 2562 ทำให้เกิดฝนตกหนักและลมกระโชกแรงมาก

คาดว่ากระแสลมในวันที่พายุถึงฝั่งคันโต (วันที่ 12 ตุลาคม 2562) จะมีความเร็วสูงสุดถึง 216 กิโลเมตร ต่อชั่วโมง
สถานเอกอัครราชทูตฯ จึงขอประกาศเตือนคนไทย โดยเฉพาะนักท่องเที่ยวในพื้นที่คันโต (โตเกียว ฯลฯ) และโตไก (ชิซึโอกะ ฯลฯ) และบริเวณใกล้เคียง โปรดติดตามสถานการณ์ ระวังภัยจากฝนตกหนัก และลมกระโชกแรง หลีกเลี่ยงการออกจากเคหะสถานในช่วงเวลาดังกล่าว ตรวจสอบความแข็งแรงของประตูหน้าต่าง เตรียมอาหาร น้ำ และของจำเป็นในสถานการณ์ฉุกเฉิน ระวังสิ่งของด้านนอกบ้านหรือระเบียงที่อาจปลิวจากลมกระโชกแรงและสร้างความเสียหายได้ โปรดเตรียมความพร้อมหากมีประกาศอพยพของทางการญี่ปุ่น

ในเบื้องต้น ยังไม่มีการประกาศให้อพยพ หรือระงับบริการของสายการบิน และรถไฟ แต่อย่างไรก็ตาม มีการคาดการณ์ว่าไต้ฝุ่นหมายเลข 19 นี้จะส่งผลกระทบทั้งทางรถไฟ เครื่องบิน และเส้นทางเดินรถ ในการนี้ ขอให้ติดตามประกาศเพิ่มเติมของทางการญี่ปุ่น กรมอุตุนิยมวิทยาญี่ปุ่น สายการบิน และบริษัทรถไฟในช่วงวันที่ 11 และ 12 ตุลาคม 2562 และตรวจสอบตารางการบิน และรถไฟด้วย
โดยล่าสุดทางเฟซบุ๊ก Senshi hawaii shirt アロハシャツ ได้อัพเดทเหตุการพร้อมโพสต์ภาพ ดวงตาพายุขนาดใหญ่ พร้อมระบุว่า ขอให้ปลอดภัยครับ : พายุที่ใหญ่ที่สุดในประวัติศาสตร์ นึกไม่ออกก็ความเร็วรถไฟชินคันเซน เส้นผ่าศูนย์กลาง 2000 Km ใหญ่กว่าประเทศไทย อเมริกาเคอริเคนระดับ 5 ที่ว่ารุ่นแรง พายุ ฮากิบิส แรงกว่า ขอให้สิ่งศักดิ์สิทธ์คุ้มครองให้ปลอดภัยทุกๆท่านครับ เข้าญี่ปุ่นพรุ่งนี้
ภาพใต้ฝุ่น Trami ในปี 2018 ที่เป็นไต้ฝุ่นระดับเดียวกัน
อย่างไรก็ตาม ภาพดังกล่าวจากการตรวจสอบเป็นเพียงภาพเก่าที่ใช้มาเปรียบเทียบ ซึ่งเป็นภาพของ พายุ Trami เมื่อปี 2018
ขอขอบคุณ เฟซบุ๊ก Senshi hawaii shirt アロハシャツ

เทียบความแรงจากภาพใต้ฝุ่น Trami ในปี 2018 ที่เป็นไต้ฝุ่นระดับเดียวกัน

เทียบความแรงจากภาพใต้ฝุ่น Trami ในปี 2018 ที่เป็นไต้ฝุ่นระดับเดียวกัน



The latest on Super Typhoon #Hagibis:
— NIWA Weather (@NiwaWeather) October 10, 2019
•Wind gusts to 315 km/h as of Thursday.
•Category 5 equivalent strength.
•2nd strongest storm on Earth in 2019.
•Makes landfall in Japan late Saturday with destructive impacts possible. pic.twitter.com/X3VQKl5YMl
มหากาพย์ทะเลไทย กัมพูชา และบทบาทลับของเวียดนาม
วิธีสังเกตภาพ AI ที่บางคนยังไม่รู้
ทีมเจ็ทสกีกู้ภัย เขต 8 เจอชาวบ้านหัวร้อนลั่นไกไล่หลังอีก 2 นัด และเรือท้องแบนถูกฟาดหัว ล่าสุดทีมกู้ภัยถอนตัวออกจากพื้นที่้เขต 8 ทั้งหมดแล้ว ไม่ปลอดภัย
ผู้ประสบภัย น้ำท่วมขังหาดใหญ่โพสต์ภาพบ้านผุพังไม่เหลืออะไรเลย
ชาวบ้านงงงวย หลังเห็นลิงนับร้อย แห่วิ่งลงจากภูเขา
เผยสถิติเลขออกบ่อย ย้อนหลัง 20 ปี..งวดวันที่ 1 ธันวาคม 68
นักร้องลูกทุ่งสาว ลิลลี่เครียดหนักตอนนี้บ้านที่หาดใหญ่น้ำท่วมหนักและสูงมาก
ท่าโยคะ ท่ามัสเยนทราสนะ Matsyendrasana ท่านั่งบิดตัว มีประโยชน์ต่อร่างกายและระบบภายใน
Morning routine กิจวัตรยามเช้าที่ควรทำ เพื่อการเริ่มต้นวันใหม่ที่สดใส
ทนายธรรมราช เชื่อภัยพิบัติน้ำท่วมเกิดจากการที่คนไทยห่างจาก ทาน ศีล ภาวนา ลบหลู่ดูหมิ่น พระพุทธ พระธรรม พระสงฆ์
นายกฯ ไม่ทิ้งประชาชน ประกาศปักหลักหาดใหญ่ ไม่บินกลับ จนกว่าน้ำท่วมจะคลี่คลาย
อาหารช่วยให้หลับฝันดี หลับสบายเต็มอิ่ม ช่วยให้ผ่อนคลาย แก้อาการนอนไม่หลับ
ทีมเจ็ทสกีกู้ภัย เขต 8 เจอชาวบ้านหัวร้อนลั่นไกไล่หลังอีก 2 นัด และเรือท้องแบนถูกฟาดหัว ล่าสุดทีมกู้ภัยถอนตัวออกจากพื้นที่้เขต 8 ทั้งหมดแล้ว ไม่ปลอดภัย
คุณหมอออกมาแฉ เทศบาลบอกเอาอยู่ แต่คนทั้งเมืองไม่ทันได้เก็บของ นํ้าก็มาแล้ว
นักร้องลูกทุ่งสาว ลิลลี่เครียดหนักตอนนี้บ้านที่หาดใหญ่น้ำท่วมหนักและสูงมาก
ทำไมเราถึงเรียกเมนูเนื้อย่างแบบหนึ่งว่า "เสือร้องไห้" ทั้งๆ ที่เมนูนี้ทำมาจากเนื้อวัว
บินด่วน! "แนท เกศริน" สลัดลุคเซ็กซี่ขอลุยน้ำท่วมช่วยพี่น้องที่หาดใหญ่
อบต.ละงู ประกาศ พื้นที่น้ำท่วมต้องอพยพ 100% หากประชาชน ไม่ยอมออกจากพื้นที่ต้องยอมรับสภาพ อย่าโทษหน่วยงานไม่เตือน เพราะไปช่วยเหลือไม่ได้น้ำสูงเกินที่จะเข้าพื้นที่
ผู้ประสบภัย น้ำท่วมขังหาดใหญ่โพสต์ภาพบ้านผุพังไม่เหลืออะไรเลย
นักร้องลูกทุ่งสาว ลิลลี่เครียดหนักตอนนี้บ้านที่หาดใหญ่น้ำท่วมหนักและสูงมาก